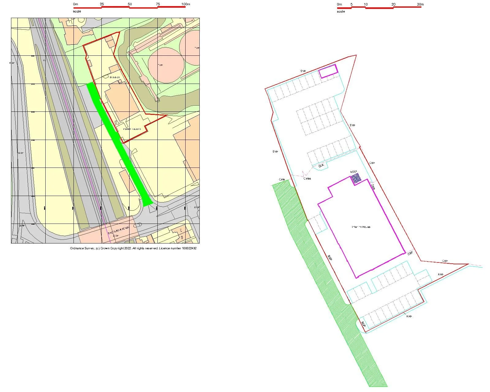
Boundary Plans & Lease Plans

For many years ARA have been producing a variety of Land Registry compliant plans. We are skilled at producing determined boundary plans where a new boundary line needs to be established, land transfer plans, and lease plans for private residences, retail outlets, office spaces, and industrial units.